Destacados
Últimas noticias
Francia recibe ayuda europea para enfrentar los incendios que arrasan miles de hectáreas
Seis países europeos enviarán ayuda a Francia, cuyos bomberos luchan contra nuevos incendios forestales reavivados por otra ola de calor y una sequía preocupante para el sector agrícola.
Sube a once el número de muertos por las inundaciones en Corea del Sur
Al menos once personas murieron y ocho se encuentran desaparecidas en Corea del Sur tras las fuertes lluvias que inundaron carreteras, estaciones de metro y casas, según un nuevo balance brindado por las autoridades este jueves.
Nueva ola de calor en Francia y España, con sequía en toda Europa
Francia y España enfrentaron el miércoles su tercera ola de calor desde junio, con una sequía que se acentúa en toda Europa y que obligó a los Países Bajos a declararse oficialmente en situación de "escasez de agua".
Mayor incendio forestal en California deja al menos cuatro muertos
El mayor incendio forestal de este año en California duplica su saldo letal a cuatro muertos, al tiempo que autoridades afirmaron este martes que las condiciones climáticas dan una tregua a los más de mil bomberos combatiendo las llamas.
La sequía se instala en Francia en plena ola de calor
La alerta por sequía se extendió este martes a todos los territorios de Francia en Europa, cuando la tercera ola de calor en dos meses vuelve más visible las consecuencias del calentamiento del planeta.
El número de muertos por las inundaciones en Kentucky se eleva a 37
La cifra de muertos por las inundaciones en el este de Kentucky ascendió este lunes a 37 mientras nuevas lluvias complican las operaciones de limpieza, búsqueda y rescate, y el posible clima severo durante la noche amenaza con provocar más daños.
Francia y algunas zonas de Inglaterra registran mes de julio más seco
Las autoridades meteorológicas de Francia y algunas zonas de Inglaterra registraron el mes de julio más seco de la historia, lo que agrava la escasez de recursos hídricos y obliga a imponer algunas restricciones.
Número de muertes por inundaciones en sur de EEUU se eleva a 25
Las devastadoras inundaciones registradas en Kentucky han dejado al menos 25 personas muertas y se espera que aumente el número de víctimas, informó el sábado el gobernador de ese estado del sur de Estados Unidos, en momentos en que rescatistas continúan buscando sobrevivientes.
Al menos 15 muertos en las "peores" inundaciones en un estado de EEUU
Al menos 15 personas murieron en las "peores" inundaciones en la historia de Kentucky, una cifra que podría duplicarse puesto que este viernes no ha parado de llover en este estado rural del centro de Estados Unidos.
El cambio climático hizo 10 veces más probable una ola de calor en Reino Unido
El cambio climático causado por la actividad humana hizo que la ola récord de calor de este mes en Reino Unido sea al menos 10 veces más probable, según una investigación divulgada el viernes.
Al menos ocho muertos tras unas "devastadoras" inundaciones en Kentucky
Inundaciones repentinas causadas por lluvias torrenciales han dejado al menos ocho muertos en el este de Kentucky y a algunos residentes atrapados en tejados y árboles, dijo este jueves el gobernador del estado del centro sur de Estados Unidos.
Autoridades chinas instan a millones de habitantes a quedarse en casa por ola de calor
Las autoridades chinas instaron a decenas de millones de habitantes a quedarse en casa el lunes debido a la ola de calor que azota el país, donde varias ciudades están en alerta roja.
Miles de evacuados en EEUU mientras el fuego en California se extiende
Un feroz incendio forestal en California se expandió durante la madrugada del domingo, quemando varios miles de hectáreas y obligando a realizar evacuaciones, mientras millones de estadounidenses padecen un calor abrasador que bate récords y se espera que se intensifique.
El fuego se extiende en California en medio del calor que abrasa a EEUU
Un feroz incendio forestal en California se expandió durante la noche al domingo, quemando varios miles de hectáreas y obligando a realizar evacuaciones, mientras millones de estadounidenses padecen un calor abrasador que bate récords y se espera que se intensifique.
EEUU enfrenta calor extremo y un incendio forestal que crece en California
Una "ola de extremo calor" afecta a decenas de millones de estadounidenses este fin de semana, con temperaturas récord en el centro y noreste y un incendio forestal que se propaga de manera alarmante en California.
EEUU enfrenta calor extremo y un incendio forestal en California
Una "ola de extremo calor" afecta a decenas de millones de estadounidenses este fin de semana, con temperaturas récord en el centro y noreste y un incendio forestal en California.
Bomberos griegos comienzan a controlar un incendio al norte de Atenas
Los bomberos griegos empezaron a controlar este miércoles un incendio forestal que se extendió un día antes a los pies del monte Pentélico, al norte de Atenas, donde cientos de personas se vieron obligadas a evacuar, informaron las autoridades.
El Reino Unido bate su récord de calor y la península ibérica sigue ardiendo
Las altas temperaturas batieron el martes récords históricos en el Reino Unido, que superó por primera vez los 40ºC en el marco de la ola de calor que azota a Europa occidental y provocó incendios forestales que arrasan la península ibérica.
Incendios en España, donde reabre una autopista con Portugal que el fuego cortó
Una importante autopista que comunica Madrid con Lisboa reabrió tras haber permanecido cortada por varias horas este sábado por un incendio en el suroeste de España, país donde se registraron decenas de fuegos, en medio de una ola de calor.
Europa occidental, asfixiada por las altas temperaturas y los incendios
Una parte de Europa Occidental se encontraba sofocada este sábado por una ola de calor que ha causado devastadores incendios y amenaza con provocar temperaturas récord este fin de semana y el inicio de la próxima.
Calor sofocante e incendios atormentan al suroeste de Europa
Miles de bomberos continuaban el viernes su lucha sin cuartel contra las llamas en Francia y la península Ibérica, donde las sofocantes temperaturas no daban tregua, mientras, más al norte, el Reino Unido se preparaba para un fin de semana de calor "extremo".
Ola de calor alcanza su pico en España y los incendios se extienden
La ola de calor que se abate sobre el sudoeste de Europa desde hace varios días alcanzará este jueves su pico en España, donde las temperaturas superaron ya los 45ºC en la víspera, a la vez que se multiplican los incendios forestales.
España, en alerta por temperaturas por encima de los 45 ºC
La casi totalidad de España seguía bajo alerta por una ola de calor, que este miércoles empujó los termómetros a temperaturas por encima de 45 ºC, según la Agencia Estatal de Meteorología (Aemet).
Shanghái sufre temperaturas récord en medio de ola de calor en China
Shanghái aguanta este miércoles algunas de las temperaturas más altas jamás registradas en medio de una ola de calor que agobia a China y que activó una serie de alertas y que amenaza la agricultura y el sector energético.
Después de España y Portugal, la ola de calor se abate sobre Francia
Después de España y Portugal, una ola de calor extremo se abatía este miércoles en Francia, la segunda en apenas un mes, con temperaturas superiores a los 30ºC en gran parte del país e incendios forestales.
El calor asfixiante se vuelve a instalar en Europa occidental
Con los termómetros superando ampliamente los 40 ºC en España y Portugal, Europa occidental enfrentaba este martes una segunda ola de calor excepcional en apenas un mes, con un impacto muy preocupante en los suelos y los glaciares alpinos.
Una nueva ola de calor extremo se abate sobre la península ibérica y Francia
A menos de un mes de la última ola de calor, los termómetros volvieron a registrar niveles excepcionales este lunes en la península ibérica, con temperaturas superiores a los 40 ºC, y en el sur de Francia.
Más de 400 varados en frontera argentino-chilena por fuerte nevada
Más de 400 personas, entre turistas, camioneros y otros viajeros, siguen varados con temperaturas de 10 grados centígrados bajo cero por un temporal de nieve a los dos lados de la frontera andina entre Argentina y Chile, según fuentes municipales.
Iran cierra escuelas y administraciones por una tormenta de arena
Las autoridades iraníes anunciaron el lunes el cierre de los centros administrativos y las escuelas de las provincias de Teherán y Alborz ante el aumento de la contaminación provocado por una tormenta de arena.
El hastío de los iraquíes frente a las repetidas tormentas de arena
Pese a las tormentas de arena y polvo, Milad Mitti no puede permitirse perder un día de trabajo. Como la inmensa mayoría de los iraquíes, este repartidor de comida no oculta su hastío ante un fenómeno que ha adquirido proporciones sin precedentes en los últimos meses.
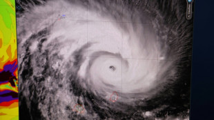
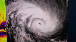
Tormenta Bonnie deja tres muertos y daños en Nicaragua y El Salvador
La tormenta tropical Bonnie que se desplaza por el Pacífico de Centroamérica y México, dejaba al menos tres muertos en Nicaragua y El Salvador, cientos de desplazados por el desbordamiento de ríos, viviendas inundadas y caída de árboles, según un balance preliminar este domingo en los países afectados.
Tormenta Bonnie deja un muerto y daños al pasar cerca de El Salvador
La tormenta tropical Bonnie que se desplaza por el Pacífico de Centroamérica, cobró el sábado la vida de una persona en El Salvador donde además derribó árboles, anegó calles, algunos hospitales y viviendas, mientras las autoridades realizaban evacuaciones y rescates.